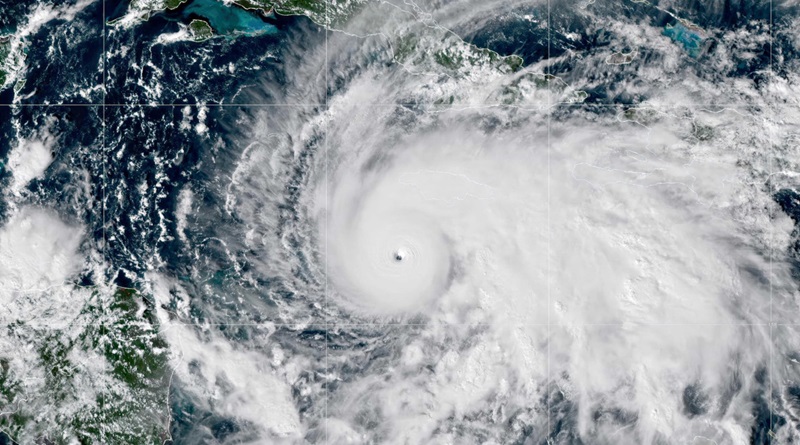
El avance del huracán Melissa continúa por el Caribe en dirección noreste, con una velocidad de unos 280 kilómetros por hora. Ante la posibilidad de que este martes golpee las islas del sudeste de Bahamas, el Gobierno del país ordenó evacuar la zona. La medida abarca a las islas turísticas de Inagua, Acklins, Crocked, así como Mayaguana y Ragged.
El primer ministro y ministro de Finanzas de la nación, Philip Davis, anunció la decisión tras las recomendaciones de la Autoridad de Gestión del Riesgo de Desastres, que advirtió que las condiciones podrían empeorar el miércoles.
«Este aviso se emite para garantizar que las personas más expuestas puedan ser reubicadas con seguridad antes de que las condiciones empeoren», expresó.
De acuerdo con la Autoridad de Gestión del Riesgo, hay alta probabilidad de que esa región resulte afectada por inundaciones y fuertes tormentas, por lo que advirtió que no seguir las recomendaciones oficiales puede poner en riesgo la salud o la seguridad de las personas.
Aunque se prevé que el sudeste del país sea la zona más perjudicada por el paso de Melissa, el Gobierno bahameño también emitió alertas para las islas del centro ante el posible alcance de los efectos del huracán.





